Plot 4 Alexander Street And Gordon Street, Dunoon, PA23 7EJ

Want to make an offer?
Plot 4 Alexander Street And Gordon Street, Dunoon, PA23 7EJ
freehold
Attractive Land Opportunity
Available documents
Live Online Auction in
1
Days
20
Hours
34
Minutes
13
Seconds
Description
Prime Property Auctions is excited to bring to market this substantial site boasting 201,247 square feet.
Gordon Street, Dunoon PA23 7EJ previously sold for £177,500, 36, Alexander Street, Dunoon, Argyll PA23 7EW previously sold £245,000, 120, Alexander Street, Dunoon, Arg PA23 7PY sold for £240,500
Would suit keen developers looking for an attractive development opportunity, subject to researching and gaining necessary planning permissions.
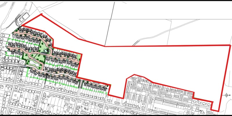
19/01456/PP – Erection of 101 dwelling houses. Approved 28.9.21 on adjacent land.
Proposed commercial development of hotel with restaurant, function rooms, pools, and spa and leisure facilities with local Argyll & Bute council - 21/02008/PREAPP
Prime Property Auctions is excited to bring to market this substantial site boasting 201,247 square feet.
Sale Evidence:
Gordon Street, Dunoon PA23 7EJ previously sold for £177,500, 36, Alexander Street, Dunoon, Argyll PA23 7EW previously sold £245,000, 120, Alexander Street, Dunoon, Arg PA23 7PY sold for £240,500
PRICE TO ENSURE QUICK SALE & POTENTIALLY HIGH YIELDING INVESTMENTLocal council to develop 101 residential dwelling houses adjacent to land for sale.
Would suit keen developers looking for an attractive development opportunity, subject to researching and gaining necessary planning permissions.
Proposed commercial development of hotel with restaurant, function rooms, pools, and spa and leisure facilities with local Argyll & Bute council - 21/02008/PREAPP
This lot is open to immediate offers. Should you wish to offer NOW, you can do so via our Offer Now button on our website.
This property is offered at a fantastic price to ensure an Auction sale.
The property will feature in our upcoming timed online auction.
To participate in the live auction, you must have a bidding account created. For further details on how to have a bidding account created please contact the team.
Location
Dunoon presents a lucrative investment opportunity for those seeking to capitalise on Scotland's thriving tourism and leisure industries. With its stunning coastal scenery and rich maritime heritage, Dunoon serves as an ideal destination for strategic investment in hospitality, leisure, and real estate ventures. The town's status as the gateway to Argyll Forest Park and its proximity to popular tourist attractions make it a prime location for hotel developments, holiday accommodation, and recreational facilities. Additionally, Dunoon's vibrant community spirit and year-round events create a bustling atmosphere that attracts visitors and residents alike, ensuring a steady stream of clientele for businesses. With the potential for high returns and sustainable growth, investing in Dunoon offers a promising opportunity to be part of the region's economic expansion and prosperity.
Map
Deposit & Fee Calculator
Need help funding this purchase?
Finance is available on this property
Terms of Sale
All buyers must verify terms prior to placing a bid. Some sellers may have variations within their contracts. Should you place a bid you are confirming you are happy to proceed as per the Terms of the contract.